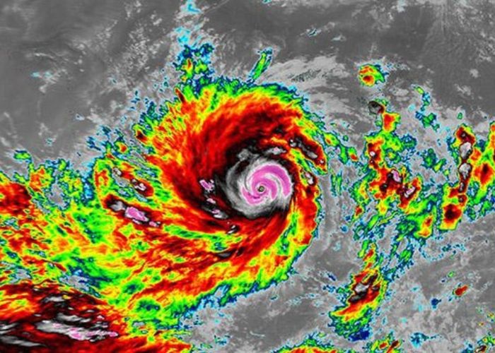
BahteraBerita.com- Badan Meteorologi, Klimatologi, dan Geofisika (BMKG) resmi mengonfirmasi bahwa Bibit Siklon 91S telah meningkat statusnya menjadi Siklon Tropis Bakung. Sistem cuaca ekstrem ini terpantau di Samudra Hindia barat daya Lampung sejak Jumat (12/12/2025) pukul 19.00 WIB.
Meski pergerakan Siklon Tropis Bakung menjauhi wilayah Indonesia, BMKG menegaskan bahwa dampak tidak langsungnya tetap berpotensi memicu hujan lebat, angin kencang, hingga gelombang tinggi dalam satu hingga dua hari ke depan.
Kepala BMKG, Teuku Faisal Fathani, menjelaskan bahwa saat ini Siklon Tropis Bakung memiliki kecepatan angin maksimum 35 knot atau sekitar 65 km/jam, dengan tekanan udara di sekitar sistem mencapai 1000 hPa, dan bergerak ke arah barat daya.
“BMKG telah menyampaikan peringatan dini secara bertahap dan berkelanjutan kepada masyarakat serta sektor terkait,” ujar Faisal dalam konferensi pers perkembangan Bibit Siklon 91S dan 93S, Jumat malam.
Kecepatan Angin Diprediksi Meningkat Drastis
BMKG memprediksi dalam 24 jam ke depan (13 Desember 2025), kecepatan angin maksimum Siklon Tropis Bakung akan meningkat signifikan hingga 55 knot atau setara 100 km/jam. Intensitas ini berpotensi menjadikan Bakung sebagai siklon tropis kategori dua, dengan tekanan udara menurun hingga 988 hPa.
Walaupun menjauhi Indonesia, Siklon Tropis Bakung tetap berpotensi memicu hujan intensitas sedang hingga lebat di sejumlah wilayah, khususnya Bengkulu, Lampung, dan Banten.
Selain itu, angin kencang berpeluang terjadi di wilayah Bengkulu, sementara gelombang tinggi setinggi 1,25–2,5 meter berpotensi melanda:
Samudra Hindia barat Kepulauan Mentawai hingga Lampung
Samudra Hindia selatan Banten hingga Jawa Barat
Selat Sunda bagian selatan
Waspadai Bibit Siklon Tropis 93S
Baca Juga: PLN Mobile Bikin Heboh! Kini Beli Motor Listrik Bisa dari Genggaman, Langsung Dapat Diskon Rp7 Juta!
Tak hanya Siklon Tropis Bakung, BMKG juga meminta masyarakat untuk mencermati perkembangan Bibit Siklon Tropis 93S yang saat ini terpantau di Samudra Hindia selatan Bali–Nusa Tenggara.
Deputi Bidang Meteorologi BMKG, Guswanto, menyebutkan bahwa Bibit Siklon 93S masih memiliki peluang rendah untuk berkembang menjadi siklon tropis dalam 24 hingga 72 jam ke depan. Namun, dampak tidak langsungnya tetap berpotensi memicu cuaca ekstrem.
Wilayah yang berpotensi terdampak meliputi:
Hujan sedang hingga lebat di Jawa Timur, Bali, dan Nusa Tenggara Barat
Angin kencang dan gelombang tinggi di pesisir selatan Jawa Timur, Bali, hingga Nusa Tenggara
Imbauan BMKG untuk Masyarakat
Direktur Meteorologi Publik BMKG, Andri Ramdhani, mengimbau masyarakat di wilayah terdampak agar tetap waspada terhadap potensi gangguan aktivitas harian akibat hujan lebat dan angin kencang, terutama di daerah rawan bencana.
“Masyarakat pesisir dan pelaku aktivitas kelautan diharapkan mewaspadai gelombang tinggi dan menyesuaikan aktivitas operasional,” tegas Andri.
BMKG juga mengingatkan masyarakat untuk terus memantau informasi cuaca resmi dan tidak mudah terpengaruh oleh informasi yang belum terverifikasi.
Artikel ini sudah tayang di: https://www.cnnindonesia.com/nasional/20251212220843-20-1306182/bmkg-siklon-tropis-bakung-picu-hujan-lebat-hingga-gelombang-tinggi

